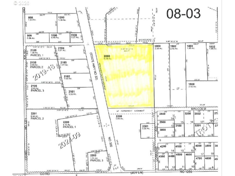
Income or redevelopment investment property with Light Industrial Zoning. The second fastest growing city east of Oregon's Cascades. Currently a hub (highway - interstates) for trade, shipping, manufacturing, agriculture and growth for Oregon, Washington and Idaho. 670 feet of N. Hwy 395 Highway frontage great for flex, office and warehousing. High traffic count, exposure, and visibility with 4 structures on 8.29 acres. Excellent 1031 Exchange property to grow business. Conditional and permitted establishments engaged in manufacturing, automobile service station, retail mini-market facility, recreational vehicle park, auto and RV sales. Do not disturb.
North Highway 395 to Follett
Dwelling Type: CommercialSale
Subdivision: N/A
Year Built: 1952, County: US
North Highway 395 to Follett
Listing is courtesy of Coldwell Banker Bain
Sign in to your account to continue