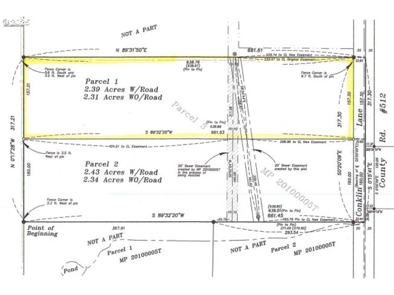
Build your own mini farm 2.31 Acres within Cove city limits, sewer and water are available. Great building cite for stick build or manufactured homes.
Haefer Ln and Conklin Ln
Dwelling Type: Land
Subdivision: N/A
Year Built: N/A, County: US
Haefer Ln and Conklin Ln
Listing is courtesy of Ranch-N-Home Realty, Inc
Sign in to your account to continue