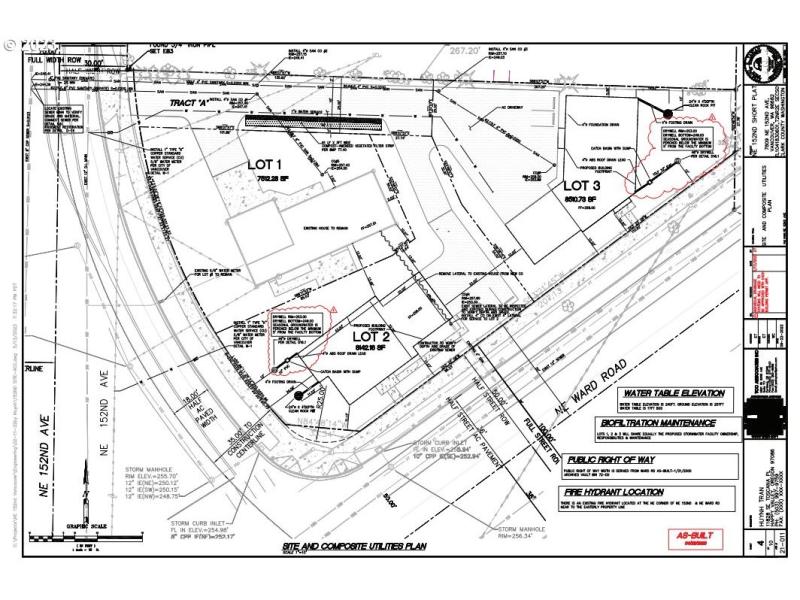
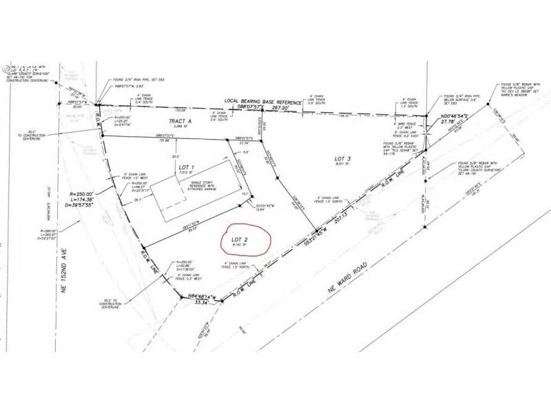
A corner lot (#2) located in a convenient location of NE Ward Rd & NE 152nd Ave. Sewer and Water publicly connected. Front roads are finished. Asphalt shared driveway was built. Public buses are on front. NO HOA. Custom your home is priceless!
Corner of NE Ward Rd and NE 152nd Ave. Lots #2:is behind 7809 NE 152nd Ave.
Dwelling Type: Land
Subdivision: N/A
Year Built: N/A, County: US
Corner of NE Ward Rd and NE 152nd Ave. Lots #2:is behind 7809 NE 152nd Ave.
Listing is courtesy of Kelly Right Real Estate of Portland, LLC