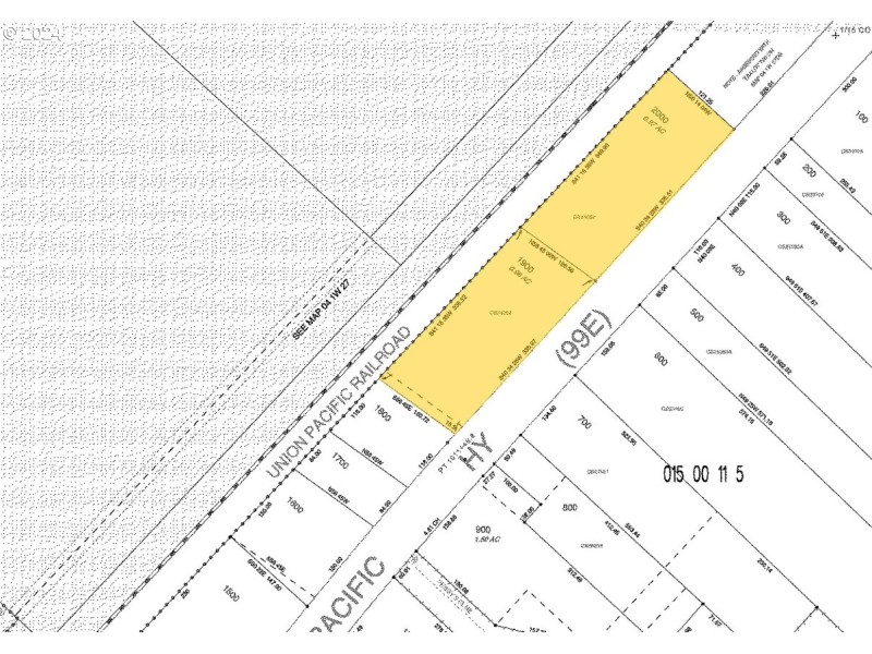
Unlock incredible opportunities with this industrial/commercial zoned property in Hubbard, Oregon, perfectly situated between Salem and Portland. This expansive lot comprised of two separate parcel offers a large blank canvas ready to meet all your business needs. The property features two separate driveways with over 670 ft of Hwy 99E frontage. Easy access to major highways and a strategic location, it's ideal for logistics, manufacturing, or any industrial venture. Northern parcel is fully fenced and includes a manufactured structure with electricity run into the lot, and septic system.
Pacific Hwy
Dwelling Type: Land
Subdivision: N/A
Year Built: N/A, County: US
Pacific Hwy
Listing is courtesy of Harcourts Elite
Sign in to your account to continue