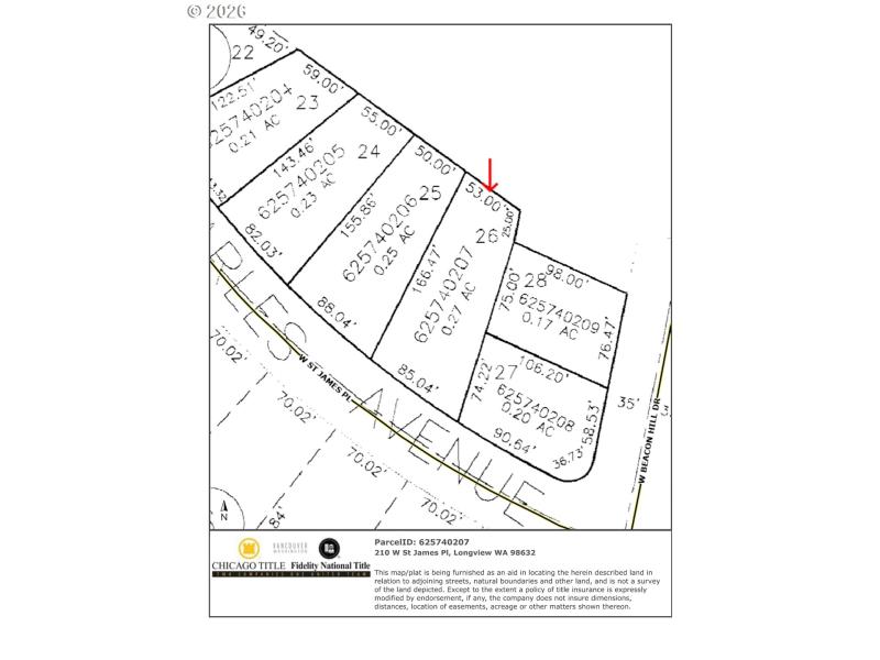
Rare opportunity in the highly sought-after Columbia Heights neighborhood of Longview! This spacious .27-acre lot offers the perfect setting for your dream home. Nestled among mature trees in an established community, you’ll enjoy both privacy and the benefits of a well-loved neighborhood. With all utilities conveniently available at the street, this property is ready for your vision to take shape. The lot has been recently cleared, with corners and lot lines flagged—making it easy to start planning your build with confidence. Imagine designing a home that captures potential views of the surrounding mountain range, creating a peaceful backdrop for everyday living. Whether you’re building your forever home or investing in a land, this lot offers location, convenience, and possibility all in one. Don’t miss your chance to bring your dream home to life in Columbia Heights! Please have your agent set up a tour. . . Agent MUST accompany buyer onto property.
Columbia Heights Road; East onto West Beacon Hill Drive; Left onto W St. James Place
Dwelling Type: Land
Subdivision: N/A
Year Built: N/A, County: US
Columbia Heights Road; East onto West Beacon Hill Drive; Left onto W St. James Place
Listing is courtesy of Berkshire Hathaway HomeServices NW Real Estate
Sign in to your account to continue