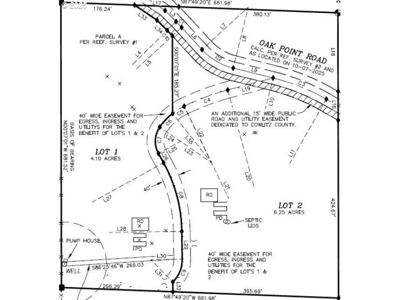
INVESTOR/DEVELOPER OPPORTUNITY - 2-5 LOT SUBDIVIDE POSSIBILITIESGreat Location, just 20 minutes to I-5 Longview, just off of the Ocean Highway along the Columbia River. Level building sites, wooded for privacy. Take some Alder Trees out to find the view and leave some for privacy. Drilled Well already in the well house, and a complete septic system approved by Cowlitz County and mostly built. You possibly could put in a mobile/modular home almost the day after closing. BUT the big surprise! The short plat has been applied for. The possibility of 4 or 5 lots is available to you, should you choose to complete the short plat. All of the lots perc for gravity systems and a second well site has been laid out. With Shortplat approval, you might end up owning 1/2 the property free and clear.
From Longview, take Ocean Hwy; R onto Mill Creek Rd then L onto Oak Point Rd, 3rd drvwy on L up hill
Dwelling Type: Land
Subdivision: N/A
Year Built: N/A, County: US
From Longview, take Ocean Hwy; R onto Mill Creek Rd then L onto Oak Point Rd, 3rd drvwy on L up hill
Listing is courtesy of Keller Williams Sunset Corridor
Sign in to your account to continue