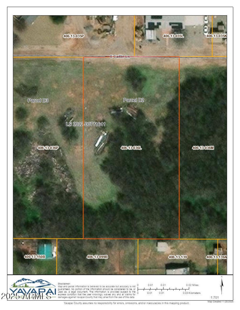
Nicely treed 1+ acre lot with thick canopy of mature Mesquite trees. Located in rural BRIDGEPORT, but only a short distance to Cottonwood business community. Electric & natural gas readily available to support building new home, or bringing in a manufactured home. Will need new well & septic system. Seller also owns 40 by 40 metal building, 18 feet tall, that he had intended to build bardominium on parcel, stored on site, available as add'l purchase if desired. Parcel could be split into 2 parcels to support 2 separate homes. Could easily support shared well.
Sr Hwy 89A east of Verde River bridge, right on Zalesky Road, follow Zalesky around 2 corners to right on S Thompson Road, right on Caitlin Lane, to second parcel on left @ sign.
Dwelling Type: Land
Subdivision: N/A
Year Built: N/A, County: N/A
Sr Hwy 89A east of Verde River bridge, right on Zalesky Road, follow Zalesky around 2 corners to right on S Thompson Road, right on Caitlin Lane, to second parcel on left @ sign.
Listing is courtesy of RealtyOneGroup Mountain Desert
Sign in to your account to continue