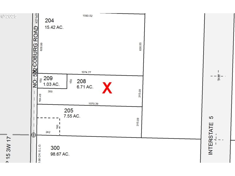
6.71 acres, Limited Industrial zoned property approx. 1.5 miles from I-5 Exit 209. Gated access entry. Well installed. 300'x120' retention pond.
I-5 , Exit 209, West on Diamond Hill Road towards Halsey. South on North Coburg Road to property.
Dwelling Type: Land
Subdivision: N/A
Year Built: N/A, County: US
I-5 , Exit 209, West on Diamond Hill Road towards Halsey. South on North Coburg Road to property.
Listing is courtesy of RE/MAX Integrity
Sign in to your account to continue