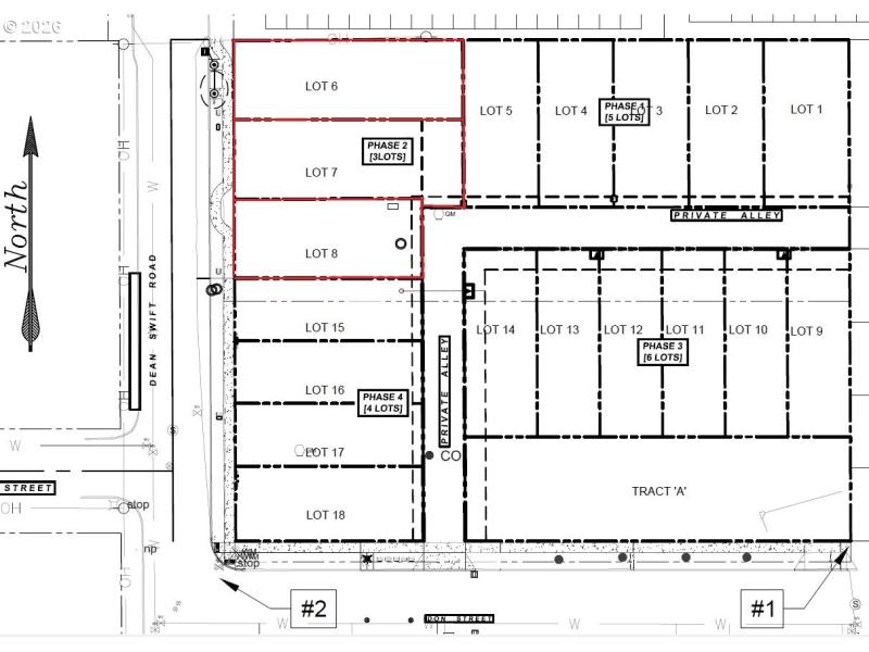
Three mixed residential ("live-work") zoned bare lots for sale. These lots are flat and ready to build with paving, curbs, sidewalks, water, sewer, gas, and electric. The special zoning for these lots permits building "duplexes" with street-level low impact business and additional level(s) above for homes with the potential to rent the business levels and homes together or separately. The subdivision is also approved for attached or detached townhomes so buildings on separate lots may be joined or partially joined at the lot lines to reduce setback requirements and allow for 60% lot coverage. The front entrances of the structures would be on Dean Swift to the west with a 5' setback and a driveway access from Gracie Lane with an 18' setback. Lot 809 and 810 are larger to accommodate driveways with access for 809 through the driveway of 810 (see tax lot map for details). Lot 171234DC00809 is 4,180 sq ft measuring 110' x 38', Lot 171234DC00810 is 4,260 sq ft measuring 110' x 38' + 4' x 20', and Lot 171234DC00811 is 3,420 sq ft measuring 90' x 38' 62062 Dean Swift Rd is the old tract address being used for the ease of location of these three developed bare lots.
62062 Dean Swift Rd is the old tract address for location only. Located between Hwy 20 and Don St
Dwelling Type: Land
Subdivision: N/A
Year Built: N/A, County: US
62062 Dean Swift Rd is the old tract address for location only. Located between Hwy 20 and Don St
Listing is courtesy of homecoin.com
Sign in to your account to continue