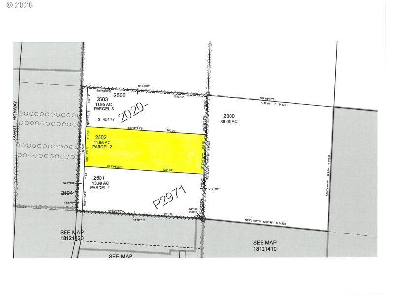
Parcel 2 offers a strong development opportunity with north–south frontage along undeveloped Spruce Street. The property is located directly north of Parcel 1, where Spruce Street is partially developed and utilities are already available at the southwest corner of Parcel 1, providing nearby access for future infrastructure extension. Zoning allows for a minimum lot size of 5,000 square feet and permits up to two attached living units per lot, making this parcel well suited for townhome or duplex-style residential development.
Hwy 101, E on Munsel Lake Rd, N on Spruce St to end, ahead to SW corner of Parcel 2 -TL 2502
Dwelling Type: Land
Subdivision: N/A
Year Built: N/A, County: US
Hwy 101, E on Munsel Lake Rd, N on Spruce St to end, ahead to SW corner of Parcel 2 -TL 2502
Listing is courtesy of West Coast Real Estate Service
Sign in to your account to continue