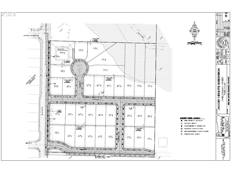
ANNEXED to the city, zoned as Single family residential zoning, 7,500 square foot lot sizing. Previously approved in 2020 for 31 - 7500 square foot lots. Amazing opportunity to live in an expansive 1-level home on 10acres yet right in the city, while waiting to develop and cash in. 4-car garage, private driveway, garden includes mature grapes, apples trees & more. By 4/3/26 city to release information program on how they are going to adopt expansion. Voted on 45 days later so it’s approved by end of May when EPA intends to release 190 additional lots. City says since it was already pre-approved fast tracking existing application can likely be accomplished in 3-4 months. Over 50k spent on all the studies required for previous approval which can transfer to buyer. See under additional documents the previously approved plat map.
From Hwy 211, veer left on Meining Ave, Left on Dubarko Rd, Right on Jacoby Rd.
Dwelling Type: Residential
Subdivision: N/A
Year Built: 1966, County: US
From Hwy 211, veer left on Meining Ave, Left on Dubarko Rd, Right on Jacoby Rd.
Listing is courtesy of John L. Scott Portland Metro
Sign in to your account to continue