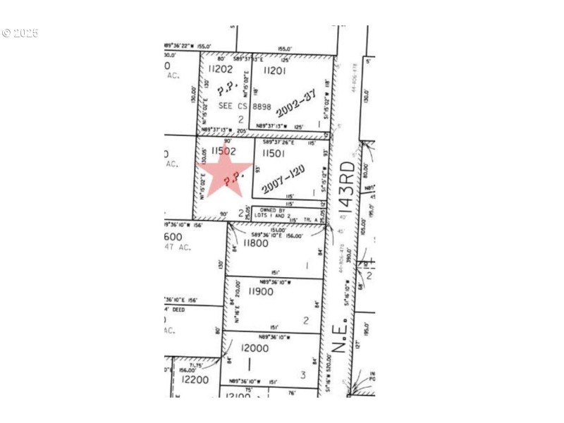
13,000+ SQFT lot in Glendoveer neighborhood. Great setting for a big new home, easy access, large area to work with.
NE Halsey, North on 143rd property is on left side.
Dwelling Type: Land
Subdivision: N/A
Year Built: N/A, County: US
NE Halsey, North on 143rd property is on left side.
Listing is courtesy of Realty First
Sign in to your account to continue