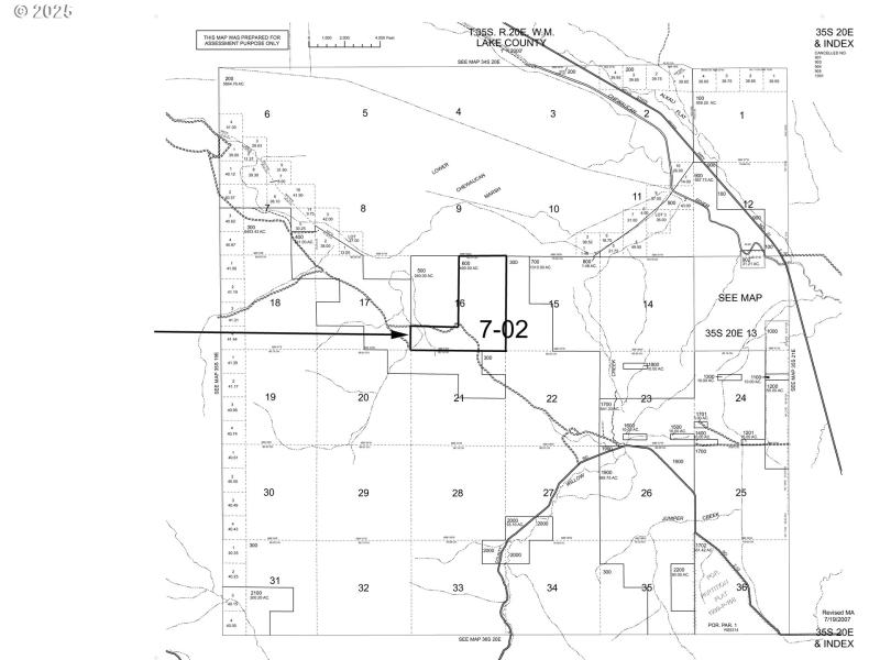
This parcel of land, located just north of Valley Falls, OR, spans four hundred acres and offers captivating, unobstructed views. It is just a short drive from the picturesque Lake Albert, making this location a true gem for anyone exploring Oregon. The property borders over 8,000 acres of government-owned land, providing numerous possibilities. Whether you want to build your ideal homestead, create a recreational retreat, or find a peaceful escape from the hustle and bustle of everyday life, this property presents endless opportunities and the tranquility you deserve!Coordinates: 42.53299, -120.36177After you turn off Fremont Hwy onto Clover Flat Rd make a right turn at the coordinates 42.51031, -120.34071 After making that turn travel about 1.8-2 miles to reach the property.
Clover Flat Rd X Fremont Hwy
Dwelling Type: Land
Subdivision: N/A
Year Built: N/A, County: US
Clover Flat Rd X Fremont Hwy
Listing is courtesy of Cascade Land and Homes LLC