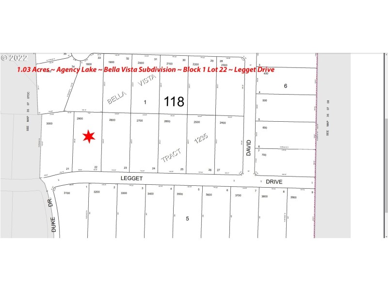
Agency Lake ~ Bella Vista Subdivision 1.03 Acres, Gently rising parcel up from road edge is situated perfectly for your custom built home. Area of nicer homes in upscale subdivision. Nicely graded packed gravel roads, underground utilities. Well and septic needed for development. Boat ramp, camping, golfing are all very close by. Approx. Center Long: -121.9208 Approx. Center Lat: 42.5457
Duke
Dwelling Type: Land
Subdivision: Bella Vista
Year Built: N/A, County: US
Duke
Listing is courtesy of Cascade Land and Homes LLC