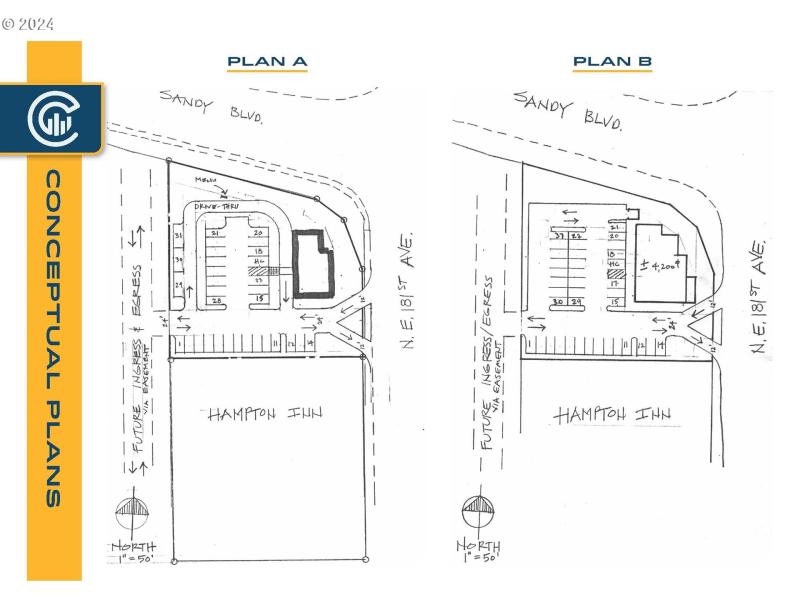
Located at the SW corner of NE 181st Ave and Sandy Blvd, this .82-acre lot offers an exceptional opportunity for commercial development in a highly visible and high-traffic area of Gresham. Zoned for Moderate Commercial use, the property is ideal for a range of businesses, including retail, office space, and service-oriented establishments.The lot boasts easy access to major roadways, ensuring convenience for both customers and employees. It is surrounded by a variety of commercial and residential properties, making it a prime location for new ventures. With a favorable zoning designation, you have the flexibility to create a space tailored to your business needs.Whether you're looking to expand your business or invest in a growing area, this lot offers significant potential for success. Don’t miss the opportunity to secure this prime piece of real estate in a bustling area of Gresham!For more details, contact us today.
From I84, take the 181st Exit north. Corner of 181st and Sandy
Dwelling Type: Land
Subdivision: N/A
Year Built: N/A, County: US
From I84, take the 181st Exit north. Corner of 181st and Sandy
Listing is courtesy of Real Estate Investment Group