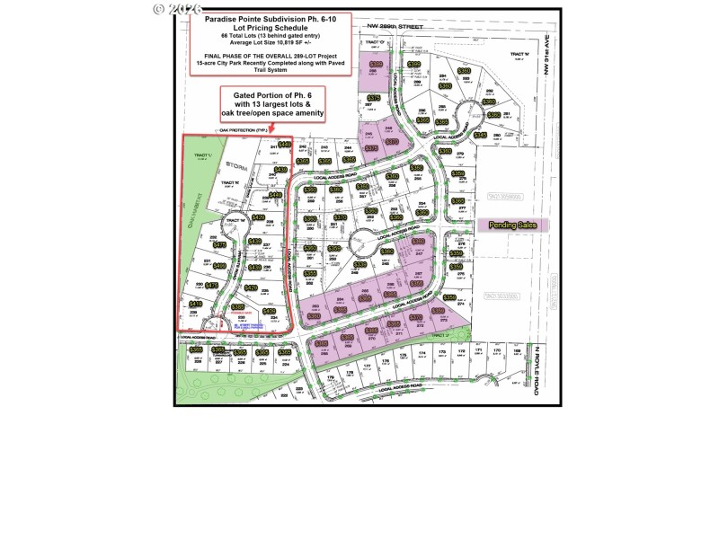
Home-Site #249 — Build your dream home in this premier phase of Paradise Pointe in Ridgefield! This premium 11,760 SF (+/-) buildable home-site is located in one of the area’s most sought-after new construction communities, offering a rare blend of privacy and access to nature. Partner with one of the region’s top award-winning custom home builders, to design and build a home tailored to your lifestyle and needs. Enjoy the privacy, security, and flexibility of building within a thoughtfully planned community featuring beautiful mountain views, mature trees, extensive walking trails, and multiple playgrounds—all in a peaceful, nature-focused setting while still just minutes to I-5, shopping, and daily conveniences. The final phase has just recorded and is ready to build. Don’t miss this limited opportunity—contact us today for pricing, builder options, and full development details.
East on Pioneer Street, North on Royle Road, Left on N 13th, Right on Paradise
Dwelling Type: Land
Subdivision: PARADISE POINTE
Year Built: N/A, County: US
East on Pioneer Street, North on Royle Road, Left on N 13th, Right on Paradise
Listing is courtesy of Manor Realty Group, LLC
Sign in to your account to continue