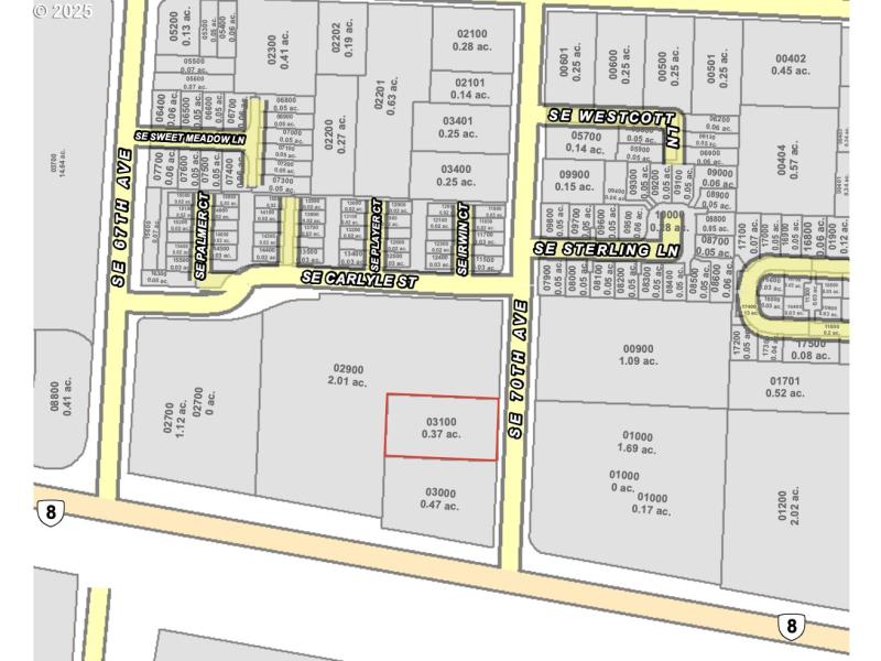
Hard to find .37 acre build-ready commercial lot zoned C-G in high-exposure, desirable location nestled between Chick-fil-A, Kaady Car Wash & Big River Coffee with high traffic count being located right off TV Hwy. Versatile mixed use, commercial zoning allows for eating & drinking establishments, retail, office, medical self-storage & mixed use retail/residential with a maximum building height of 35 ft. This level lot comes build-ready with most of the infrastructure already in place around it and utilities stubbed up right to the lot. This is one the few remaining vacant lots in the area. Take advantage of the growing South Hillsboro corridor with this exceptional location right next to Intel & Reeds Crossing. Seller is open to purchase or land lease.
OR-217 S to OR-8 W/SW Canyon Rd in Beaverton. Take exit 2A from OR-217 S. Follow OR-8 W.
Dwelling Type: Land
Subdivision: N/A
Year Built: N/A, County: US
OR-217 S to OR-8 W/SW Canyon Rd in Beaverton. Take exit 2A from OR-217 S. Follow OR-8 W.
Listing is courtesy of Summa Real Estate Group
Sign in to your account to continue