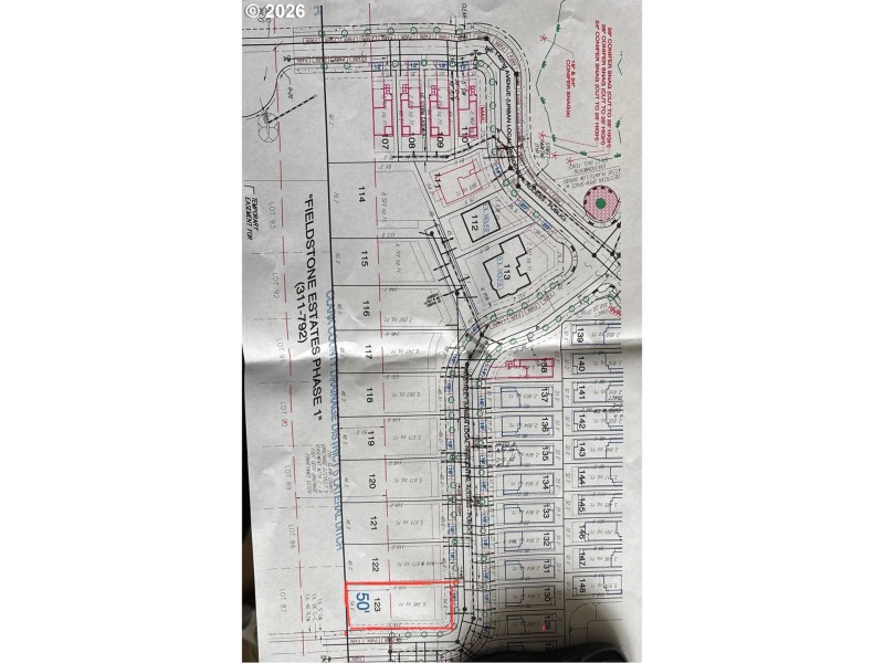
Lot 123 is 6,345sqft. Corner lot with no neighbors on the side and buffer zone at the back. Tucked away from a busy street while still being in town but with a hint of great nature around. Bring your own builder or partner with our professional builder to design your dream home. Homesites will be ready by late summer 2026 with all utilities in place. Enjoy the added privacy of a green buffer behind every lot and no HOA. Get ready to build your dream home here
Lot 123
Dwelling Type: Land
Subdivision: N/A
Year Built: N/A, County: US
Lot 123
Listing is courtesy of MORE Realty Inc
Sign in to your account to continue