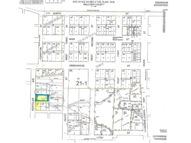
Discover the perfect opportunity to build your dream home in the heart of scenic Enterprise, Oregon! Key Lot Size: 60x120 (7,200 sq ft), ideal for a custom home or vacation retreat. Buildable: Zoned for residential use, ready for your vision (buyer to verify zoning and building requirements with Wallowa County).Utilities: City water, sewer, and power available at the street, simplifying the building process. Prairie Creek Frontage: Enjoy 60 feet of direct access to Prairie Creek Location: Just minutes from downtown Enterprise, some mountain views. Whether you're looking to create a year-round residence or a seasonal getaway. Surrounded by panoramic views. Don’t miss this rare opportunity to build your dream home along Prairie Creek in Enterprise, Oregon. Schedule a visit today!
Hwy 82 turn on west Greenwood turn south on Montclair
Dwelling Type: Land
Subdivision: N/A
Year Built: N/A, County: US
Hwy 82 turn on west Greenwood turn south on Montclair
Listing is courtesy of Wallowa Mountain Properties
Sign in to your account to continue