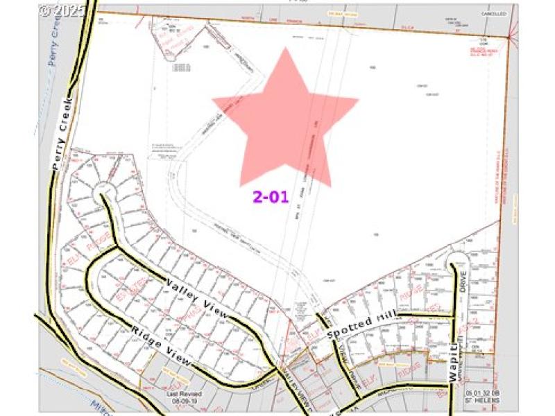
The Elk Ridge Estates subdivision is a multi-phase residential community in St. Helens, Oregon was established in 2008. St. Helens, Oregon, known for its charming small-town atmosphere, rich history, and stunning views of the Columbia River. Fantastic opportunity for a developer 36.47 Acres of residential development land zoned SH R7 (detached single-unit dwellings for low-density residential subdivisions). The Elk Ridge Estates subdivision is just a few minutes from grocery, cafes, restaurants, hardware stores, entertainment, and much more. Excellent 1031 Exchange opportunity!
Kestrel View and Elk Meadows Drive
Dwelling Type: Land
Subdivision: ELK RIDGE ESTATES
Year Built: N/A, County: US
Kestrel View and Elk Meadows Drive
Listing is courtesy of Coldwell Banker Bain
Sign in to your account to continue