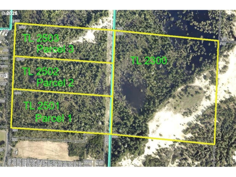
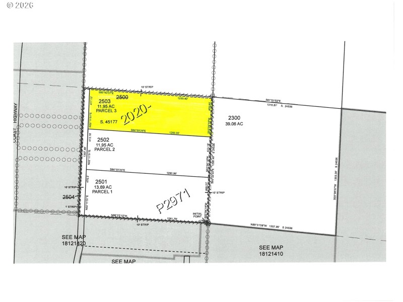
Parcel 3 offers a strong development opportunity with north–south frontage along undeveloped Spruce Street. The property is located north of Parcel 1 and 2. Spruce Street is partially developed up to Parcel 1 where utilities already available at the southwest corner, providing nearby access for future infrastructure extension. Zoning allows for a minimum lot size of 5,000 square feet and permits up to two attached living units per lot, making this parcel well suited for townhome or duplex-style residential development.
Hwy 101, E on Munsel Lake Rd, N on Spruce St to end, ahead to SW corner of Parcel 3 -TL 2503
Dwelling Type: Land
Subdivision: N/A
Year Built: N/A, County: US
Hwy 101, E on Munsel Lake Rd, N on Spruce St to end, ahead to SW corner of Parcel 3 -TL 2503
Listing is courtesy of West Coast Real Estate Service
Sign in to your account to continue