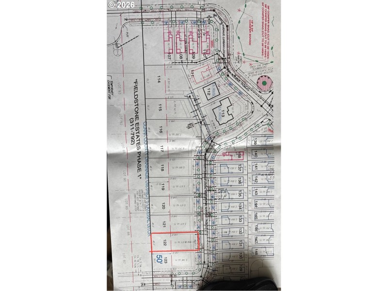
Lot 122 is 5,671sqft. Bring your own builder or partner with our professional builder to design your dream home. Tucked away from a busy street while still being in town but with a hint of great nature around. Homesites will be ready by late summer 2026 with all utilities in place. Enjoy the added privacy of a green buffer behind every lot and no HOA, where the sky is the limit here
LOT 122
Dwelling Type: Land
Subdivision: N/A
Year Built: N/A, County: US
LOT 122
Listing is courtesy of MORE Realty Inc
Sign in to your account to continue