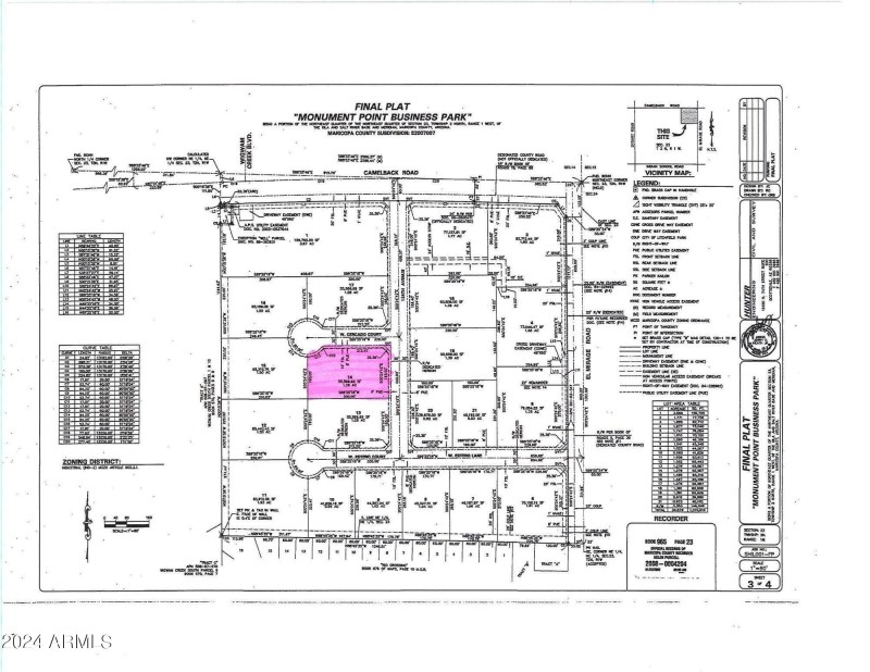
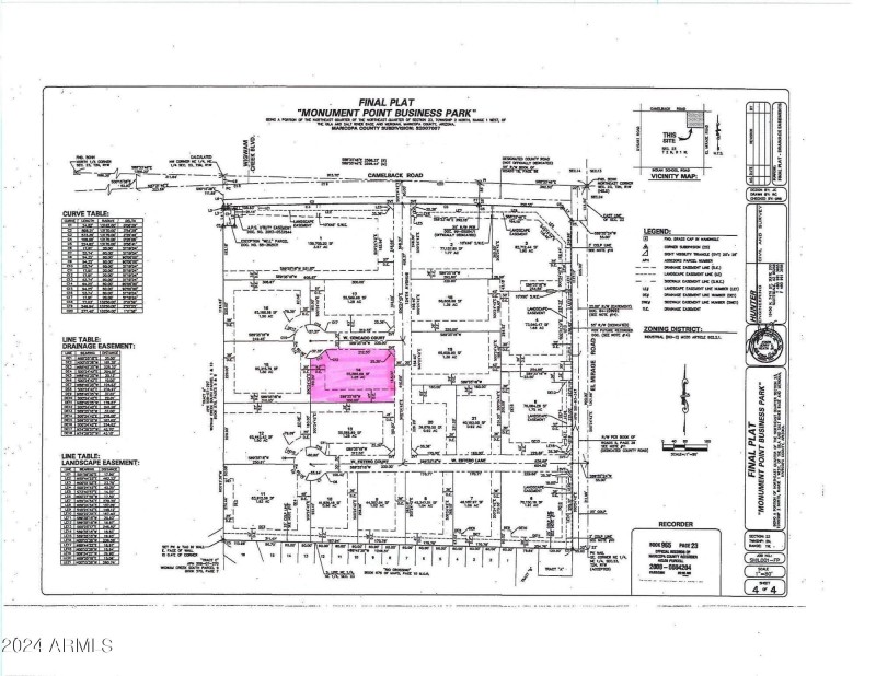
Monument Point Business Park is nestled in the vibrant city of Litchfield Park, Arizona. Litchfield Park is a premier destination for businesses seeking a strategic and dynamic location.
The 1.28 acres of land boasts a picturesque setting against the backdrop of the White Tank Mountains. The land is zoned industrial with potential for retail or commercial development opportunities.
The rapidly growing West Valley is strategically located near major transportation arteries. Monument Point Business Park offers unparalleled accessibility, making it a prime hub for commerce and connectivity. Whether by road, rail, or air, businesses here enjoy seamless access to regional and international markets.
Lot is south of Caliber Collision located at 12405 W Camelback Rd, Litchfield Park, AZ 85340.
Lot is off N 124th Ave & W Cercado Ct.
Latitude: 33.5056228997287
Longitude: -112.326650113897
Dwelling Type: Land
Subdivision: MONUMENT POINT BUSINESS PARK
Year Built: N/A, County: N/A
Lot is south of Caliber Collision located at 12405 W Camelback Rd, Litchfield Park, AZ 85340.
Lot is off N 124th Ave & W Cercado Ct.
Latitude: 33.5056228997287
Longitude: -112.326650113897
Listing is courtesy of Williams Luxury Homes
Sign in to your account to continue