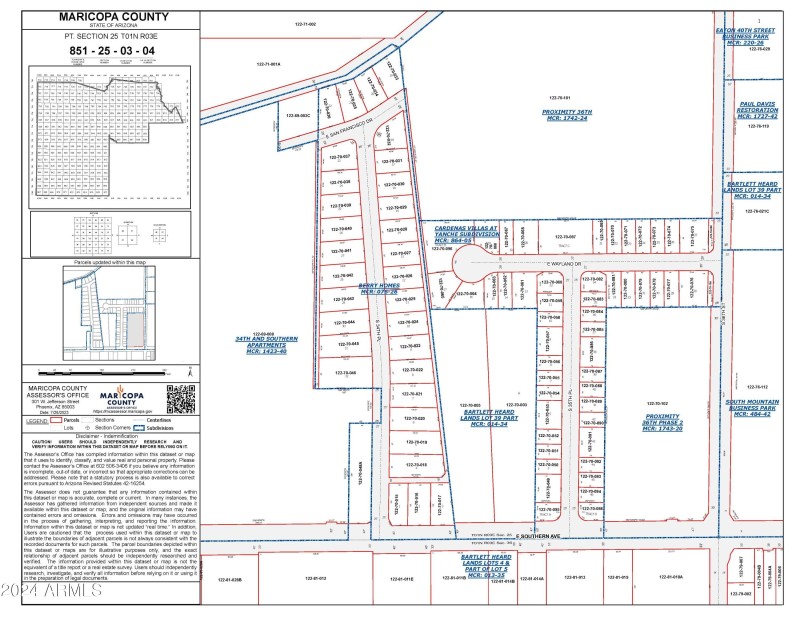
Survey without right of way;
3448 (AN 122-70-003) Assessor1.94 acres
82,461 sf and
3504 (AN 122-70-005) 1.89 acres 82,438sf.
Irregular lot given as 230.90' on south frontage with 319.31 on north end, 616.16' north to south.
Suggest employ architect to determine best use of the SFR allowable on the acerage in R1-6 zoning with ROW (4.02 acres).
On the north side of Phoenix, East of Southern between 32nd Street and 36th Street. Anticipate new 35th Ave.
Currently leased to nursery tree sales.
Located between single-family homes on the on east, west and north.
Dwelling Type: Land
Subdivision: Bartlett-Heard Lands
Year Built: N/A, County: N/A
On the north side of Phoenix, East of Southern between 32nd Street and 36th Street. Anticipate new 35th Ave.
Currently leased to nursery tree sales.
Located between single-family homes on the on east, west and north.
Listing is courtesy of DBSI Real Estate, LLC
Sign in to your account to continue