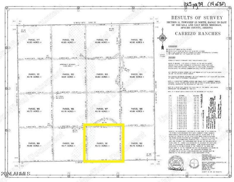
SOLD AS LAND ONLY! LARGE PARCEL LOCATED OUTSIDE ST JOHNS, AZ. CONSISTS OF 40.73 ACRES WITHIN THE CARRIZO RANCHES. PROPERTY IS OFF-GRID. PROPERTY OFFERED AS-IS & HAS AN EXISTING STRUCTURE ON PROPERTY. CLEAN UP IS REQUIRED BUT IS PERFECT FOR THOSE WHO ARE LOOKING FOR ADDED VALUE. AREA HAS WIDE NETWORK OF ROADS & TRAILS FOR EXPLORING. APPX 6000 FT ELEVATION. ZONED AGRICULTURE APACHE COUNTY APN 203-82-191. SELLER MAY CARRY *BUYER TO VERIFY SCHOOLS, ZONING / USE , UTILITIES, ACCESS & ALL PERTINENT INFORMATION * DIRECTIONS: US HWY 191/SALT LAKE RD (CR 6040)- E ON SALT LAKE RD (ACR 6040) APPX 6.5 MILES, N ON 6121 APPX 8 MILES, W ON 6242 1/3 MILE, S ON 6343 ¾ MILE TO CR 6245 & NE CORNER OF PARCEL. DO NOT USE ADDRESS TO LOCATE,MUST USE AERIAL MAPS & GPS 34.543334, -109.233174.
E ON SALT LAKE/CR 6040 APPX 6.5 M, N ON 6121 APPX 8 M, W ON 6242 1/3 M, S ON 6343 ¾ M TO CR 6245 & NE CORNER OF PARCEL. DO NOT USE ADDRESS TO LOCATE, MUST USE AERIAL MAPS & GPS 34.543334, -109.233174
Dwelling Type: Land
Subdivision: CARRIZO RANCHES
Year Built: N/A, County: N/A
E ON SALT LAKE/CR 6040 APPX 6.5 M, N ON 6121 APPX 8 M, W ON 6242 1/3 M, S ON 6343 ¾ M TO CR 6245 & NE CORNER OF PARCEL. DO NOT USE ADDRESS TO LOCATE, MUST USE AERIAL MAPS & GPS 34.543334, -109.233174
Listing is courtesy of Arizona Premier Realty Homes & Land, LLC