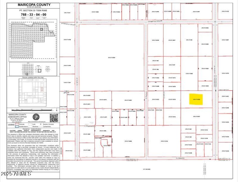
Vacant desert land in the Rio Verde area east of Scottsdale. Located in the county near horse ranches and stables, McDowell Mountain Regional Park. Frontage along 160th Street. Some floodplain on southern part of the property. Buyer to verify all information.
Rio Verde Road to 160th. South past Pinnacle Vista Dr. Land is at the SWC of 160th and Red Bird Rd.
Dwelling Type: Land
Subdivision: N/A
Year Built: N/A, County: N/A
Rio Verde Road to 160th. South past Pinnacle Vista Dr. Land is at the SWC of 160th and Red Bird Rd.
Listing is courtesy of City to City Commercial