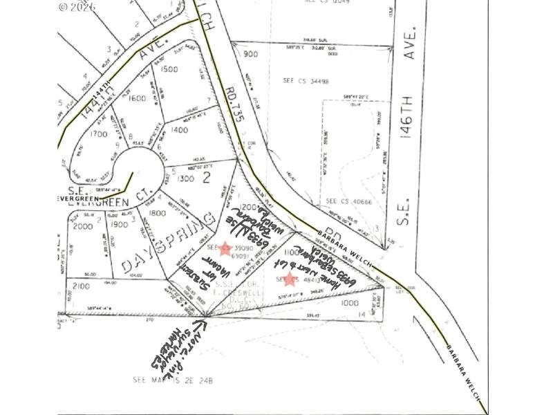
.65 ACRE LOT (28,229 SQ. Ft) Zone R10 Property class: Residential land in city limits. Bring your imagination, your builder and customize your dream home on this sloped hillside lot, sitting among mature forest and trees creating a feel of being in a secluded setting on oversized lot with possibilities. Buyers to conduct their own due diligence with the City of Portland and Multnomah County to verify questions you might have. NOTE: The lot starts north at the pink survery flags. (Seller had the lot just surveyed at the side of the lot where the pink survey flags are.) LOT LINES ARE APPROXIMATE ON THE PICTURES.
Foster to Barbara Welch Road S on Barbara Welch Road to sign. (
Dwelling Type: Land
Subdivision: DAYSPRING
Year Built: N/A, County: US
Foster to Barbara Welch Road S on Barbara Welch Road to sign. (
Listing is courtesy of ERA Freeman & Associates