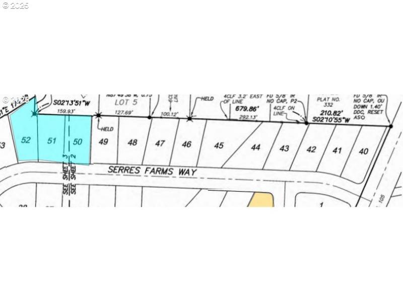
Looking for land with incredible views of Portland to build your own home? 8,000+ sq ft lot available in the 2026 Street Of Dreams Subdivision! Bring your own builder or have Icon build for you! These lots have been graded to accommodate level house plans! A multitude of opportunities in this community! . This exciting and diverse community will offer a variety of home styles. Serres Farms will also include a 2-acre park with open space, walking trails, picnic tables, play areas and more.
GPS Address: 16100 Serres Farms Way Oregon City Oregon 97045
Dwelling Type: Land
Subdivision: N/A
Year Built: N/A, County: US
GPS Address: 16100 Serres Farms Way Oregon City Oregon 97045
Listing is courtesy of Handris Realty Co.