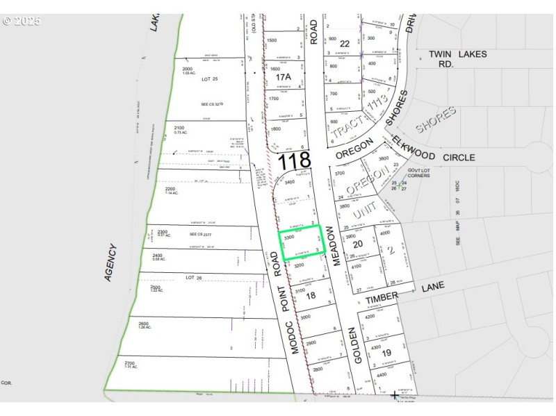
.26 Acres with outstanding Agency Lake views. This prime parcel is zoned R2 and will require a stick-framed home when you decide to build. Nestled nicely along the paved Modoc Point Road on the front side and the nicely packed Golden Meadow Road to the rear. Perfect situation for a pull-through driveway. Easy to visualize a nice two-story home with enhanced Agency Lake views and a wonderful, easy-access pull-through driveway. Perfect if you have a motorhome. Close to the boat ramp.
Oregon Shores Drive
Dwelling Type: Land
Subdivision: N/A
Year Built: N/A, County: US
Oregon Shores Drive
Listing is courtesy of Cascade Land and Homes LLC
Sign in to your account to continue