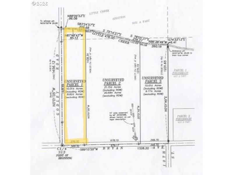
10 Acre parcel approved for Dwelling site, out of city limits but qualifies for goal 2 exception process on sewer. Check with City of Union to verify sewer and costs. Water rights have been leased for 15 years but will come back on June 2028 to the parcel. Buyer will need to talk to Assessor to disqualify one acre for building home and cost to disqualify.
Corner of Godly Lane and Miller Lane
Dwelling Type: Land
Subdivision: N/A
Year Built: N/A, County: US
Corner of Godly Lane and Miller Lane
Listing is courtesy of Ranch-N-Home Realty, Inc
Sign in to your account to continue