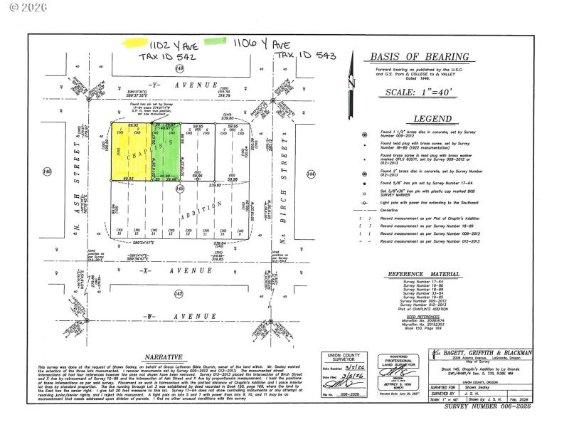
Opportunity awaits with this land sale including two buildable La Grande city lots in one package deal! At approximately 12,000 Sq. Ft. combined, this property offers room to build a home, a shop and have a large fenced in yard with no subdivision restrictions. Looking to build and invest? These lots are separate tax lots, both buildable and ready for house plans to be approved by city planning. 1102 Y Ave - corner lot at 7,000 Sq. Ft. 1106 Y Ave - interior lot at 5,000 Sq. Ft. Public water and sewer run through Y Ave for access and taps. Buyer to do due diligence with city planning and all utilities desired.
Corner of N. Ash and Y Ave.
Dwelling Type: Land
Subdivision: N/A
Year Built: N/A, County: US
Corner of N. Ash and Y Ave.
Listing is courtesy of Blue Summit Realty Group
Sign in to your account to continue