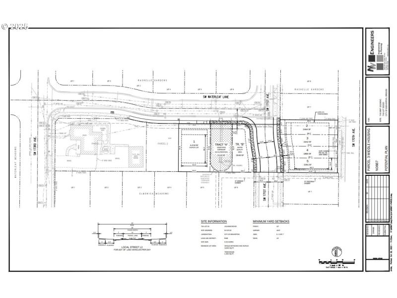
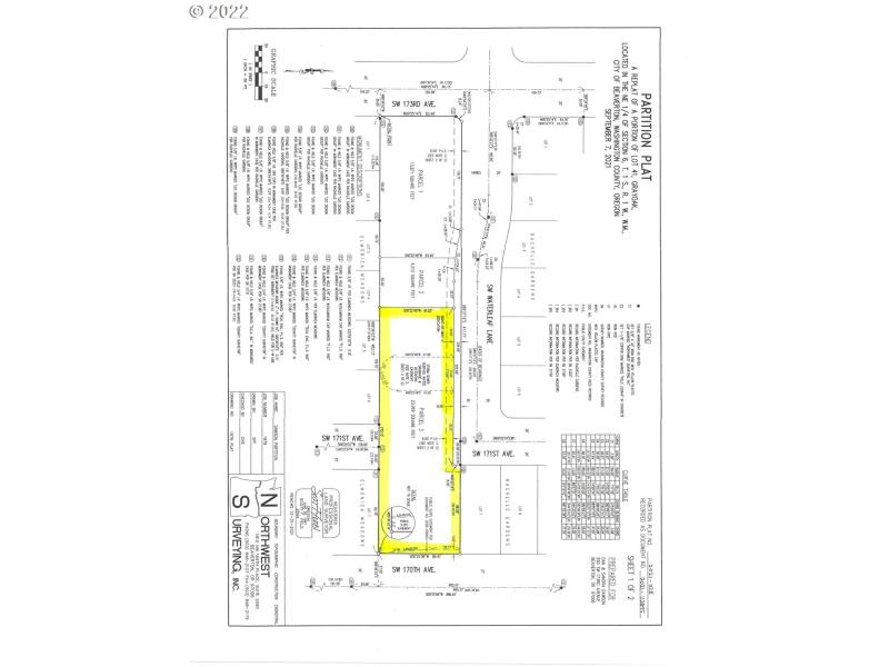
This PRIME BUILDABLE LAND is ideally situated in the heart of Beaverton, just minutes from Costco, Nike, Highway 26, and the Tanasbourne shopping area. Parcels 1 and 2 have already sold, leaving Parcel 3 as the remaining opportunity offering exceptional potential for future development. The property supports the creation of five or more buildable lots, with one lot already improved with installed curbs, sidewalks, and laterals. Recently re-zoned by the City of Beaverton from R5 to RMB, this classification allows for single-family homes on smaller lots as well as townhomes, duplexes, triplexes, cottage clusters, and more. Spanning over half an acre, this site provides ample flexibility and space for a range of residential development projects. Please see attached city pre-applications, plat map, important contacts & new zoning. Builders packet available upon request. Buyers to verify all details and development possibilities with the City of Beaverton.
Baseline to 173rd Ave.
Dwelling Type: Land
Subdivision: N/A
Year Built: N/A, County: US
Baseline to 173rd Ave.
Listing is courtesy of John L. Scott
Sign in to your account to continue