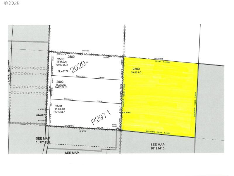
Tax lot 2300 is east of Parcels 1, 2, & 3 on undeveloped portion of Spruce St, utilities at SW corner of Parcel 1, Tax Lot 2501.
Hwy 101, E on Munsel Lk Rd, N on Spruce St, to end of existing and east of Parcels 1, 2, & 3
Dwelling Type: Land
Subdivision: N/A
Year Built: N/A, County: US
Hwy 101, E on Munsel Lk Rd, N on Spruce St, to end of existing and east of Parcels 1, 2, & 3
Listing is courtesy of West Coast Real Estate Service
Sign in to your account to continue