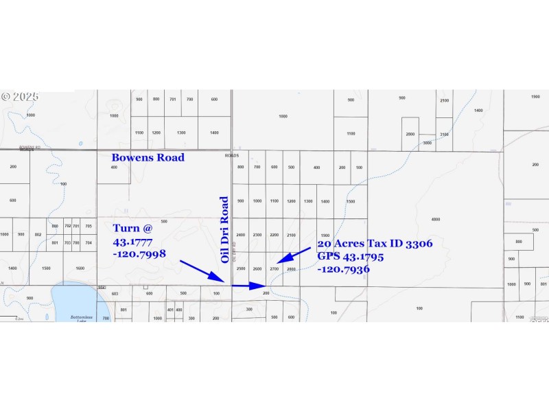
20 Acres Zoned A2 just off Oil Dri Road and its situated perfectly for a homestead, farm, ranch, or just a great place to raise a few head of cattle and live life. If you are into ATV-OHV or just bugging out then this could be the one. Peaceful area with abundant privacy and Power is just along Oil Dri Road and extremely close by. Area of farms and hay production. No Owner Carry. GPS and directions are on the maps and topos in the MLS photos.
Bowens Road
Dwelling Type: Land
Subdivision: N/A
Year Built: N/A, County: US
Bowens Road
Listing is courtesy of Cascade Land and Homes LLC
Sign in to your account to continue