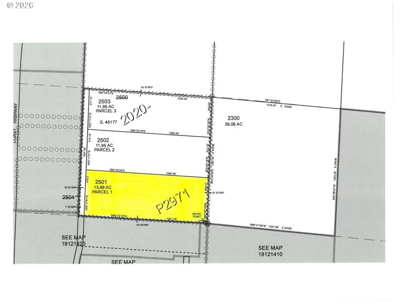
Prime Development Parcel – Spruce Street Frontage - Exceptional development opportunity with 476 feet of north-facing frontage on undeveloped Spruce Street. This parcel extends approximately 1,260 feet deep and offers strong potential for residential development. Utilities and a developed street are already in place at the southwest corner of the property, providing convenient access for future infrastructure expansion. Zoning allows for a minimum 5,000 sq ft lot size, with the ability to build up to two attached living units per lot, making this an ideal option for townhomes, duplex-style housing, or small-lot residential development. This parcel presents strong potential for builders or investors seeking flexibility and long-term value.
Hwy 101, E on Munsel Lake Rd, N on Spruce St to end 0 SW corner of TL 2501
Dwelling Type: Land
Subdivision: N/A
Year Built: N/A, County: US
Hwy 101, E on Munsel Lake Rd, N on Spruce St to end 0 SW corner of TL 2501
Listing is courtesy of West Coast Real Estate Service
Sign in to your account to continue