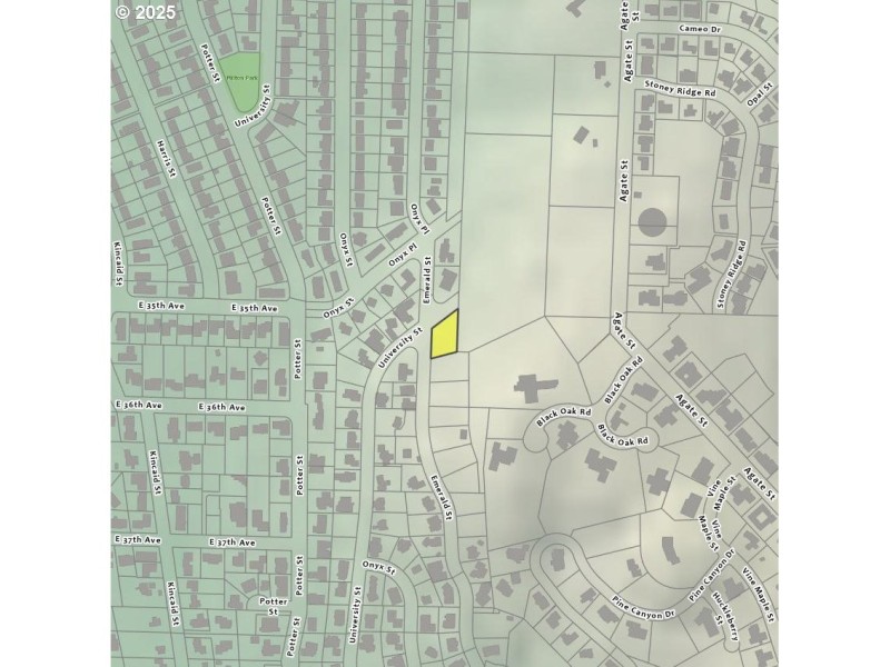
Location, location, location! Prime South Eugene lot with sweeping city and mountain views, offering gorgeous sunsets. Situated in one of Eugene’s most sought-after neighborhoods.
E 30th Ave to Agate right on 31st left to Onyx Pl to Emerald
Dwelling Type: Land
Subdivision: N/A
Year Built: N/A, County: US
E 30th Ave to Agate right on 31st left to Onyx Pl to Emerald
Listing is courtesy of United Real Estate Properties
Sign in to your account to continue