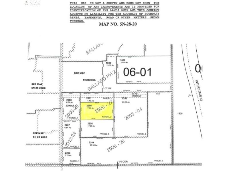
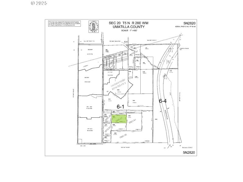
This property with 7.8 acres of raw land, zoned R2, is a great development opportunity.Buyer to complete all due diligence on property, utilities, uses, etc..Lot-PARCEL 2
East on Powerline Rd.
Dwelling Type: Land
Subdivision: N/A
Year Built: N/A, County: US
East on Powerline Rd.
Listing is courtesy of Windermere Group One Columbia Basin
Sign in to your account to continue