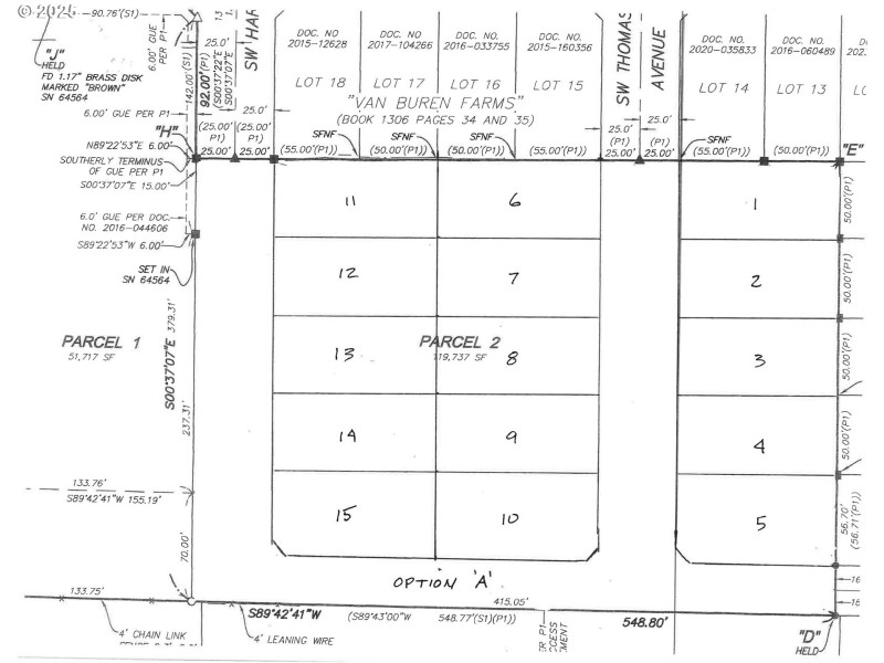
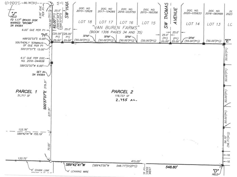
Presenting a rare opportunity for developers and builders to acquire a strategic 2.7-acre parcel in the rapidly growing Pleasant Valley area of Gresham. Zoned LDR-PV (Low Density Residential - Pleasant Valley), this property is one of the last remaining undeveloped sites of its size in this highly active construction corridor.The parcel offers significant flexibility for your next project. To illustrate its potential, we have shown three different conceptual layouts, and more are possible depending on how creative you can get. This versatility allows you to cater precisely to market demand.With new construction projects successfully underway on surrounding properties, the demand and viability of this location are well established. This is a premier chance to secure a foothold and shape a new community within a proven market.Buyer is responsible for performing all their own due diligence.
S on SE 190th DR W on SW 31st ST and S on SW Van Buren Way
Dwelling Type: Land
Subdivision: N/A
Year Built: N/A, County: US
S on SE 190th DR W on SW 31st ST and S on SW Van Buren Way
Listing is courtesy of Builders Marketing Group