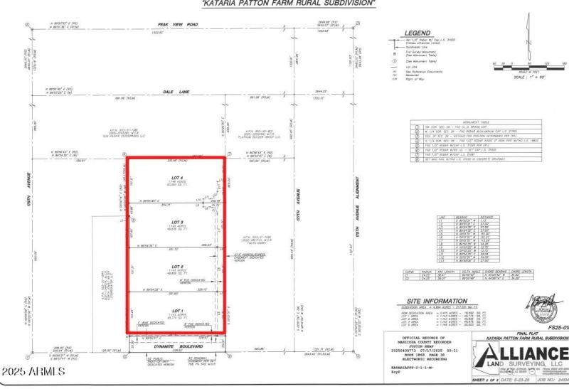
A singular opportunity for a builder who wants a superb project in the rapidly growing city of Surprise! 4X lots in a new rural subdivision located right on a landscaped parkway across street from the Desert Oasis Phase 3 subdivision. It used to be a community gardening project a previous owner had. The approach and a culvert are already built, and there was already water service on the property. Please note all the items on the survey plat, and discuss your plans with Surprise for details and stipulations. This property sets up beautifully for a builder to put custom homes into place in a high demand high growth area. Seller might consider individual lots; please inquire with broker. *an owner of this parcel holds AZ real estate License.
From Dynamite and 171st Avenue, west on Dynamite, (it becomes Patton Rd), to property at 178th Avenue on north side of Road.
Dwelling Type: Land
Subdivision: KATARIA PATTON FARM RURAL SUBDIVISION
Year Built: N/A, County: N/A
From Dynamite and 171st Avenue, west on Dynamite, (it becomes Patton Rd), to property at 178th Avenue on north side of Road.
Listing is courtesy of Just Land Consultants