Your Acre of Freedom Awaits!
Escape the hustle & stretch out on your very own acre of open land—ready for your dream home, whether that's a custom build or a manufactured. Enjoy breathtaking views and peaceful surroundings just 1/6 mile from paved road access—close enough for convenience, but secluded. A brand-new well is drilled, so all that's left is adding your septic system and your personal style of home. With no Flood zone, no CC&Rs, no APZ restrictions, you have plenty of room for your vision, this is where you can truly make your dream a reality—build a tiny home, a spacious family estate, or even your own mini ranch. Workshops & Guest Houses Welcome! You'll love being just minutes from the new school and within an easy commute to the growing employment centers along SR-74 & 303
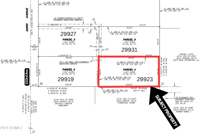
Take 223rd north to Dixileta. Continue past four houses and land will be on the right. The lot can be accessed through easement from 223rd Ave
Dwelling Type: Land
Subdivision: N/A
Year Built: N/A, County: N/A
Take 223rd north to Dixileta. Continue past four houses and land will be on the right. The lot can be accessed through easement from 223rd Ave
Listing is courtesy of HomeSmart
Sign in to your account to continue