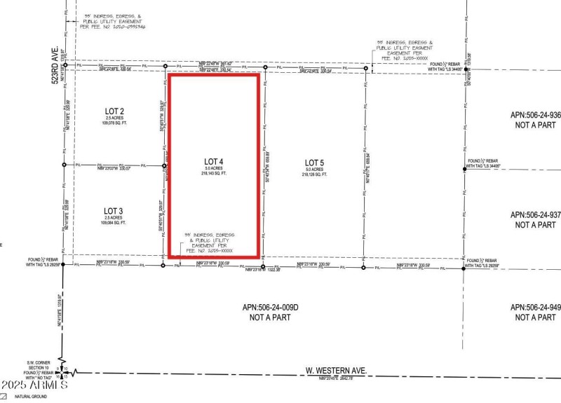
5 Acres in the Harquahala area are now available with No HoA. Just a tiny bit of floodplain in the NE corner. Survey included saving you $$$. Build what you want, when you want. State trust land to the West preserves your views now and adds value for later! Power lines on 523rd Ave. Natural Gas less than 3/4 mile away on Harquahala Rd. Global Water co. provides water to the area. This is your chance to own splittable land in a growing area. A place to live in peace & quiet or split and sell off 1 acre lots for a profit! See the photos and video for a look at your new investment. 5 parcels of differing sizes available. Print out your GPS coordinates or aerial view to bring with you to pick your parcel!
I-10 West to Harquahala Valley Road. South to Buckeye Rd/Western Ave.. West to 523rd Ave. North 1200 ft. to the SW corner of the parent parcel. East to the black sign at the SE corner of Lot 4.
Dwelling Type: Land
Subdivision: N/A
Year Built: N/A, County: N/A
I-10 West to Harquahala Valley Road. South to Buckeye Rd/Western Ave.. West to 523rd Ave. North 1200 ft. to the SW corner of the parent parcel. East to the black sign at the SE corner of Lot 4.
Listing is courtesy of Realty ONE Group
Sign in to your account to continue