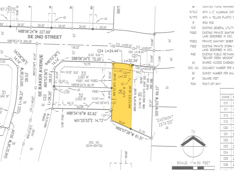
Finished lots available to purchase. These lots are intended for attached product on separate lots. This lot needs to be purchased with 4764 SE 2nd St. Use 191 SE Acacia Drive for mapping. No HOA in this subdivision! All utilities available.
SE Powell Valley Rd to SE Williams Ave, Right onto SE 3rd St, Right onto SE 2nd St
Dwelling Type: Land
Subdivision: BEAVER CREEK
Year Built: N/A, County: US
SE Powell Valley Rd to SE Williams Ave, Right onto SE 3rd St, Right onto SE 2nd St
Listing is courtesy of Real Estate Performance Group
Sign in to your account to continue